- Apr 22: EXTENDED to 22 Apr;Closure:30 Mar-22 Apr 2026; 07:30-17:00; Clearway Parking Zone; Hatchs Hill, Steamers Hill and Angarrack Lane (2 days)
- Apr 24: Mobile Library | Friday 24 Apr 2026 (4 days)
- May 22: Mobile Library | Friday 22 May 2026 (32 days)
- Jun 19: Mobile Library | Friday 19 Jun 2026 (60 days)
Back Lane
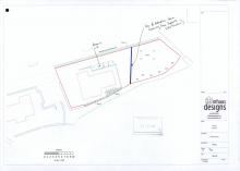
PA21/02553 | Replacement dwelling | 16 Back Lane Fairwinds Angarrack Hayle Cornwall TR27 5JE
Replacement dwelling - 16 Back Lane Fairwinds Angarrack Hayle Cornwall TR27 5JE
Ref. No: PA21/02553 | Received date: Tue 09 Mar 2021 | Status: Pending Consideration | Case Type: Planning Application
Q8. Any further relevant information?
The proposal for a replacement dwelling is the exact design as
Recently approved under Planning Application PA20?00542.
The main reason for submitting is to ensure that the whole of the
Dwelling is thermally efficient, damp proofed properly and is more
Eco friendly for future generations
Discharged | PA21/00627 | Submission of details to discharge condition no. 4 (drainage) decision notice PA20/00542 - Fairwinds
Submission of details to discharge condition no. 4 (drainage) in respect of decision notice PA20/00542 - Fairwinds 16 Back Lane Angarrack Hayle Cornwall TR27 5JE
Ref. No: PA21/00627 | Received date: Fri 22 Jan 2021 | Status: Discharged | Case Type: Planning Application
PA21/00627 | Submission of details to discharge condition no. 4 (drainage) in respect of decision notice PA20/00542 - Fairwinds
Submission of details to discharge condition no. 4 (drainage) in respect of decision notice PA20/00542 - Fairwinds 16 Back Lane Angarrack Hayle Cornwall TR27 5JE
Ref. No: PA21/00627 | Received date: Fri 22 Jan 2021 | Status: Pending Consideration | Case Type: Planning Application
PA19/08727 Land Adj To 17 Back Lane, Angarrack | Hayle Town Council to consider at council meeting Thu 17 Dec
Hayle Planning Applications
The following planning applications are due to be considered by Hayle Town Council at its full council meeting on Thursday 17 December 2020 and the details can be viewed on Cornwall Council’s website by clicking on the application reference:
PA19/08727 Land Adj To 17 Back Lane, Angarrack, Hayle TR27 5JE
Approved with conditions | PA20/00542 | House Extension, Alterations, Constructions New Workshop | Fairwinds 16 Back Lane
Proposed House Extension and Alterations, Constructions of New Workshop. - Fairwinds 16 Back Lane Angarrack Hayle Cornwall TR27 5JE
Ref. No: PA20/00542 | Received date: Tue 21 Jan 2020 | Status: Approved with conditions | Case Type: Planning ApplicationPA20/00542 | Proposed House Extension and Alterations, Constructions of New Workshop. | Fairwinds 16 Back Lane Angarrack Hayle C
Proposed House Extension and Alterations, Constructions of New Workshop. - Fairwinds 16 Back Lane Angarrack Hayle Cornwall TR27 5JE
Ref. No: PA20/00542 | Received date: Tue 21 Jan 2020 | Status: Pending Consideration | Case Type: Planning Application
PA20/00542 | Proposed House Extension and Alterations, Constructions of New Workshop. | Fairwinds 16 Back Lane Angarrack Hayle Cornwall TR27 5JE read more »
Hayle Town Council objects: against Policy SD5 HNP PA19/08727 | Outline planning permission: Construction up to three dwellings
PA19/08927 | Submission of details to discharge condition 6 in relation to decision notice PA17/00288 | Archway House Back Lane
Submission of details to discharge condition 6 in relation to decision notice PA17/00288 - Archway House Back Lane Angarrack Cornwall
Ref. No: PA19/08927 | Received date: Thu 10 Oct 2019 | Status: Pending Consideration | Case Type: Planning ApplicationPA19/08727 | Outline planning permission with some matters reserved (access): Construction of up to three dwellings | Land Adj T
Outline planning permission with some matters reserved (access): Construction of up to three dwellings - Land Adj To 17 Back Lane Angarrack Cornwall TR27 5JE
Ref. No: PA19/08727 | Received date: Fri 04 Oct 2019 | Status: Pending Consideration | Case Type: Planning Application
Residential garden land associated with Mellanoweth House
Superseded | PA19/00868 | PA19/00868 | Application for discharge of Condition 5 (boundary treatment) PA15/01953 - 12 Back Lane
Mr Matthew Davies, 7 Henver Gardens, Reawla
Development started 1.6.2017
Timber Fence along boundaries
Application for discharge of Condition 5 (boundary treatment) of Decision PA15/0195- allowed on appeal for the construction of a pair of semi-detached dwellings - Archway House Back Lane Angarrack Cornwall
Ref. No: PA19/00868 | Received date: Wed 30 Jan 2019 | Status: Pending Consideration | Case Type: Planning Application read more »
PA19/00868 | PA19/00868 | Application for discharge of Condition 5 (boundary treatment) of Decision PA15/01953 - 12 Back Lane
Mr Matthew Davies, 7 Henver Gardens, Reawla
Development started 1.6.2017
Timber Fence along boundaries
Application for discharge of Condition 5 (boundary treatment) of Decision PA15/0195- allowed on appeal for the construction of a pair of semi-detached dwellings - Archway House Back Lane Angarrack Cornwall
Ref. No: PA19/00868 | Received date: Wed 30 Jan 2019 | Status: Pending Consideration | Case Type: Planning Application read more »
W1/09-0173 | Retention of dwelling & construction of additional dwelling Head No(s): 87336 | Adj To Railway Viaduct Riverside La
W1/01/P/0240 | Construction of six dwellings, alterations to accesses, formation of parking and associated works and installatio
Building Control Summary | W1/08-1024 | Construction of replacement dwelling Head No(s): 61815 | 10 Riverside Angarrack
Building Control – Building Control Summary
Back Lane in the snow.. #snowday
Back Lane in the snow.. read more »
171212 | Discharged | PA17/04948 | Submission of details to discharge condition 6 in respect of Decision Notice PA
Submission of details to discharge condition 6 in respect of Decision Notice PA17/00288 dated 9th March 2017 - 12 Back Lane Angarrack Cornwall
Ref. No: PA17/04948 | Received date: Tue 23 May 2017 | Status: Discharged | Case Type: Planning Application080720 | W1/08-1024 | Construction of replacement dwelling Head No(s): 61815 | 10 Riverside Angarrack


Hayle Town Council
read more »